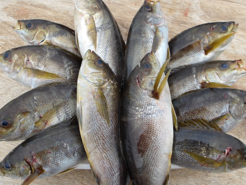
大イサキまんべんなく大漁2026年4月13日(月) 場所…大イサキ 天候…超おだやか 釣人…長尾さん 田上さん コメント トップは伸びませんでしたが潮が変わってい ったので全員にまんべんなく釣れました。 イシダイも2回ヒット。うまく上がりました
ブログ一覧 ジャンボイサキ好調少人数 ジャンボイサキ好調 中マダイ ジャンボイサキ少し 苦戦 ジャンボイサキ少しウマヅラ ジャンボイサキ少し大イシダイ ジャンボイサキ大漁超おだやか ジャンボイサキ大漁波高い ジャンボイサキ好調少人数 ジャンボイサキ大漁超おだやか ジャンボイサキ好調波高い カレンダー 2026年4月 月 火 水 木 金 土 日 « 3月 5月 » 12345 6789101112 13141516171819 20212223242526 27282930 検索 月を選択 2026年5月 (6) 2026年4月 (16) 2026年3月 (15) 2026年2月 (14) 2026年1月 (8) 2025年12月 (14) 2025年11月 (21) 2025年10月 (24) 2025年9月 (20) 2025年8月 (22) 2025年7月 (19) 2025年6月 (20) 2025年5月 (13) 2025年4月 (12) 2025年3月 (11) 2025年2月 (9) 2025年1月 (12) 2024年12月 (19) 検索: