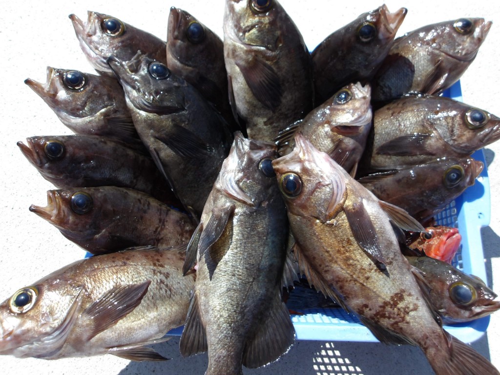
ブログ一覧 ジャンボイサキ好調少人数 ジャンボイサキ好調 中マダイ ジャンボイサキ少し 苦戦 ジャンボイサキ少しウマヅラ ジャンボイサキ少し大イシダイ ジャンボイサキ大漁超おだやか ジャンボイサキ大漁波高い ジャンボイサキ好調少人数 ジャンボイサキ大漁超おだやか ジャンボイサキ好調波高い カレンダー 2026年3月 月 火 水 木 金 土 日 « 2月 4月 » 1 2345678 9101112131415 16171819202122 23242526272829 3031 検索 月を選択 2026年5月 (6) 2026年4月 (16) 2026年3月 (15) 2026年2月 (14) 2026年1月 (8) 2025年12月 (14) 2025年11月 (21) 2025年10月 (24) 2025年9月 (20) 2025年8月 (22) 2025年7月 (19) 2025年6月 (20) 2025年5月 (13) 2025年4月 (12) 2025年3月 (11) 2025年2月 (9) 2025年1月 (12) 2024年12月 (19) 検索: