


- 現在の出航時間
- 4 : 30 集合 5:00 出航
- 沖上がり
- 12:00
- 入港
- 13:30頃


※16:00すぎ更新されてない場合は [画面更新] スワイプ
※それでも情報が古い場合は一度よそのを見てお気に入りから入り直してください
■イサキ釣り⇒テンビン仕掛けオモリ80号
■タイサビキ募集中⇒オモリ60号
■勝手ながら4名より出船いたします
※4時30までに受付をしてください
■釣り座は先着順の番号札制
※必ず画面更新をしてください
4/ 4(土)⇒イサキ釣り(出船確定)
4/ 5(日)⇒イサキ釣り募集中
4/ 6(月)⇒イサキ釣り募集中
4/ 7(火)⇒イサキ釣り募集中
4/ 8(水)⇒イサキ釣り募集中
4/ 9(木)⇒イサキ釣り募集中
4/10(金)⇒イサキ釣り募集中
4/11(土)⇒イサキ釣り募集中
4/12(日)⇒イサキ釣り募集中
4/13(月)⇒イサキ釣り募集中
4/14(火)⇒イサキ釣り募集中
4/15(水)⇒イサキ釣り募集中
4/16(木)⇒ 定休日
4/17(金)⇒イサキ釣り募集中
4/18(土)⇒イサキ釣り募集中
4/19(日)⇒イサキ釣り募集中
4/20(月)⇒イサキ釣り募集中
※電動リールを使用される方はバッテリーを持参してください
※↓受付までの地図はこのページの下にあります↓
■釣り座は先着順 番号札制
■5:00乗船開始 乗り場から離れないように
(コンビニや車で寝ている人は無効です)
◎コマセカゴやテンビン貸出しあり(無料)
■探見丸SMART・CV・MINI使用可
◎貸竿が必要な方は予約時に申込み(必須)
■4月の休船日⇒/() 4/16(木)
※1週間以上前にご予約の方は前日に出船確認をお願いします
健成丸乗船場はグーグルマップ載っています
※船内で出ました各自のゴミはお持ち帰りいただくようお願い致します

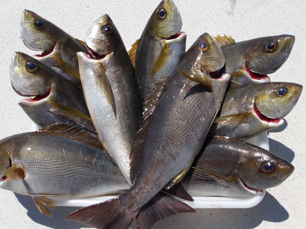
イサキ好調釣果に差があり 2026年4月3日(金)
場所…大イサキ
天候…超おだやか
釣人…鶴賀さん 稲田さん
コメント
潮が一定方向のため釣果に差がでましたが
大型イサキがよく釣れました。
明日も期待できます。皆様のご予約をお待ち
しております。明日は超すいてます。
天候…超おだやか
釣人…鶴賀さん 稲田さん
コメント
潮が一定方向のため釣果に差がでましたが
大型イサキがよく釣れました。
明日も期待できます。皆様のご予約をお待ち
しております。明日は超すいてます。
大メバル好調カサゴ大漁 2026年3月28日(土)
大イサキまずまずイシダイきた 2026年3月27日(金)
過去の釣果情報











































