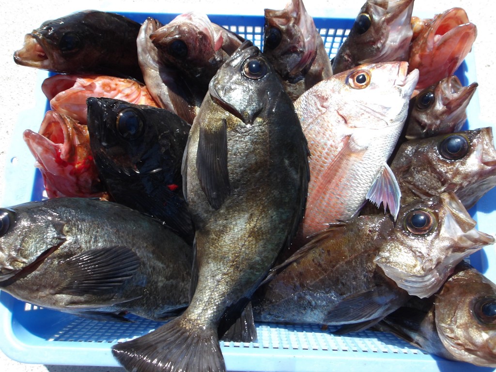
大メバル好調超おだやか2026年3月17日(火) 場所…イラゴ 天候…超おだやか 釣人…近藤さん 吉田さん コメント 好ポイイントに当たり大メバルが大漁でした 釣果に差がなくまんべんなく釣れたので良し ≪ メバルカサゴ好調超おだやか メバルカサゴ好調うねり高い ≫
ブログ一覧 ジャンボイサキ大漁波高い ジャンボイサキ好調少人数 ジャンボイサキ大漁超おだやか ジャンボイサキ好調波高い ジャンボイサキ好調全員大漁 ジャンボイサキ大漁ホームラン うねりでイサ少大アジ大漁 大イサキ少し大アジ大漁 大イサキ大漁作戦成功 大イサキまんべんなく大漁 カレンダー 2026年5月 月 火 水 木 金 土 日 « 4月 123 45678910 11121314151617 18192021222324 25262728293031 検索 月を選択 2026年5月 (1) 2026年4月 (15) 2026年3月 (15) 2026年2月 (14) 2026年1月 (8) 2025年12月 (14) 2025年11月 (21) 2025年10月 (24) 2025年9月 (20) 2025年8月 (22) 2025年7月 (19) 2025年6月 (20) 2025年5月 (13) 2025年4月 (12) 2025年3月 (11) 2025年2月 (9) 2025年1月 (12) 2024年12月 (19) 検索: